Seminole County Property Appraiser


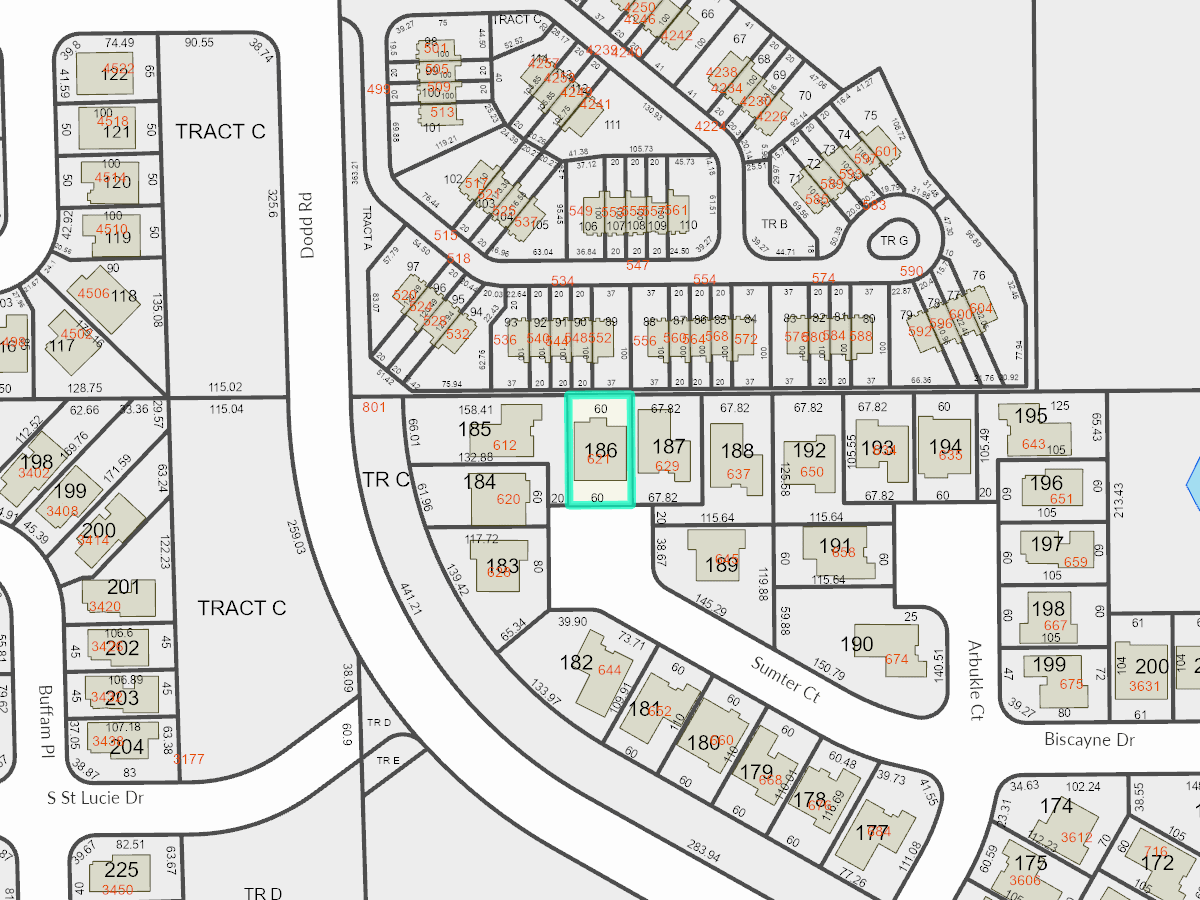
621 SUMTER CT WINTER SPRINGS, FL 32708
MITCHELL, DAVID G; MITCHELL, SONIA E
2026 Market $372,019 Assessed $188,078 Taxable $136,667
2025 Tax Bill $1,946.26 Tax Savings with Exemptions $3,152.78

Copyright 2026 © Seminole County Property Appraiser | Privacy Statement | Accessibility/Terms of Use | Translate

Follow us on our socials